École Militaire Annexe des Transmissions : plan de l'EMAT/AFN à Ben Aknoun
Dernière mise à jour le 9 avril 2018
Retour vers histoire
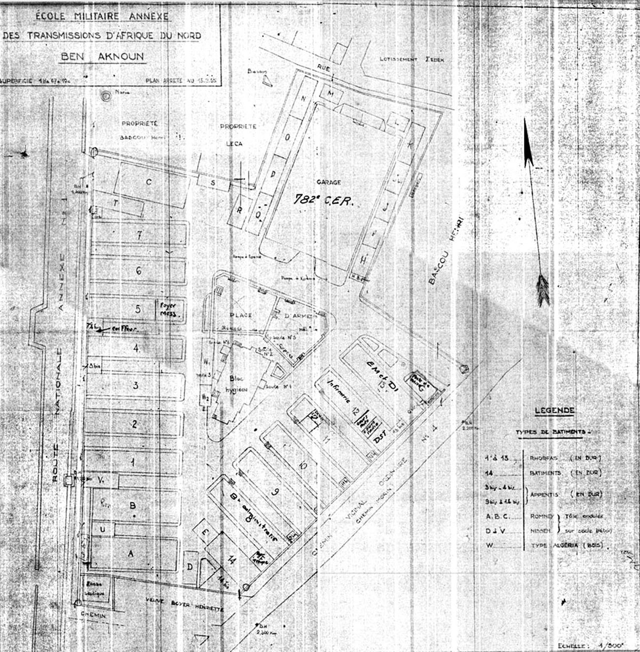
Plan de l'EMAT AFN à Ben Aknoun, réalisé le 15 septembre 1955 (l'échelle au 1/500 indiquée sur l'original ne peut être appliquée à cette réduction)
Lieutenant Bertrand Gavat

Retour haut de page